Malaysia Airlines Flight MH370 went missing during a flight from Kuala Lumpur to Beijing on March 8, 2014.
The Australian-led underwater search, the most expensive ever conducted, is expected to be completed by the middle of 2016, having scoured more than half of a planned 120,000 sq kms of seafloor, the agency overseeing the effort said, ruling out any expansion of the search without new leads.
“In the absence of credible new information that leads to the identification of a specific location of the aircraft, governments have agreed that there will be no further expansion of the search area,” Australia’s Joint Agency Coordination Centre (JACC), which is overseeing international search efforts said in a statement.
The search has focused on a remote part of southern Indian Ocean, where the plane is widely believed to have gone down.
A piece of the plane found washed up on the French island of Reunion in July 2015 provided the first direct evidence that the plane had crashed into the sea. No further trace has been found.
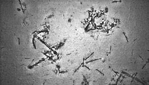
In May, searchers found the wreckage of what was believed to be a 19th century cargo ship and now sonar imagery has identified what is likely to be a second shipwreck, a steel/iron vessel dating from the turn of the 19th Century, according to JACC.
In the earlier wreckage, searchers found an anchor and other objects believed to be man-made as well as what were thought to be lumps of coal.
– Reuters

